
強颱「軒嵐諾」、熱帶低壓整合完成! 鄭明典:強度還會增強
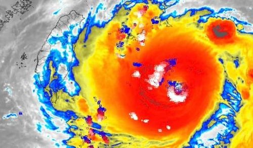
...是常有的現象,原本對流雲系範圍很有限的11號颱風「軒嵐諾」,合併了另一個熱帶性低氣壓的雲系,合併之後...
...是常有的現象,原本對流雲系範圍很有限的11號颱風「軒嵐諾」,合併了另一個熱帶性低氣壓的雲系,合併之後...
根據韓聯社、路透社報導,南韓氣象廳表示,颱風「軒嵐諾」6日淩晨4點50分許在南韓南部沿海地區慶尚南道...
強颱軒嵐諾來勢洶洶,今14時的中心位置在北緯 21.8 度,東經 125.5 度,以每小時8公里速度...
颱風軒嵐諾的外圍環流持續為北台灣帶來降雨,水利署副署長王藝峰表示,颱風主要為苗栗以北帶來顯著降雨,自...
中央氣象局預報員趙竑指出,「軒嵐諾」今晨2時位在台北東南東方至540公里海面上,預估移動到琉球南方...
...窪地區請慎防淹水。 中央氣象局預報員張承傳指出,軒嵐諾清晨5時30分中心位置位於鵝鑾鼻的東北東方約...
中央氣象局預報員林定宜指出,第11號強烈颱風「軒嵐諾」今凌晨2時中心位在花蓮東南方520公里海面上,...
軒嵐諾今天上午8點中心位置在鵝鑾鼻的東北東方約420公里之海面上。以每小時16公里速度,向北轉北北西...
文化局今(2日)臉書貼出「颱風假公告」,因應「軒嵐諾」強颱越來越接近台灣,根據中央氣象局預報南部海域...
軒嵐諾靠近台灣,到底會不會放假,讓上班族們很關心,不過一早起床,還是沒等到停課消息,不少網友在批踢踢...
氣象局預報員陳伊秀表示,第11號颱風軒嵐諾中心目前在臺北東北方海面,以每小時15轉19公里速度向北移...
今年最強颱風「軒嵐諾」已和另一熱帶性低氣壓整合完成,中央氣象局局長鄭明典指出,合併之後整個強對流區還...
氣象局指出,軒嵐諾強度稍減弱為中度颱風,目前中心在鵝鑾鼻東方海面,向西北轉北移動,其暴風圈正逐漸進...
...日)上午舉行工作會報,中央氣象局指出,目前強烈颱風軒嵐諾暴風圈昨天(3日)晚間11時許進入台灣陸地,...
根據中央氣象局最新資訊,強颱軒嵐諾下午2時的中心位置在北緯26.8度,東經124.8度,即在台北的東...
...陸警) 氣象局晚間11時40分說明表示,今晚11時軒嵐諾位置在鵝鑾鼻東方大約390公里海面上,未來將...
氣象局指出,軒嵐諾強度稍減弱為中度颱風,目前中心在鵝鑾鼻東方海面,向西北轉北移動,其暴風圈正逐漸進入...
日本朝日新聞報導,軒嵐諾今天上午以緩慢速度朝石垣島行進,預測今天入夜後到9月4日凌晨將相當接近日本先...
...(新增:颱風最新一報) 氣象局預報員陳伊秀表示,軒嵐諾北上路徑稍稍西偏,最快約晚間9到10時左右接...
中國中央氣象台今天在官方微博發文,指軒嵐諾強度有所增強,最大強度可達超強颱風級,並逐漸向浙江東北部近...