
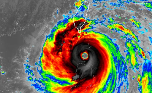
史詩級樺加沙「最巔峰之姿」閃過台灣!網友:還好沒進來
...風目前,近中心最大風速約每小時209公里),相當於17級風;瞬間最大陣風約每小時263公里,相當於1...
...風目前,近中心最大風速約每小時209公里),相當於17級風;瞬間最大陣風約每小時263公里,相當於1...
...最大風速每秒58公尺(約每小時209公里)、相當於17級風,瞬間最大陣風每秒73公尺(約每小時263...
...最大陣風每秒68公尺(約每小時245公里),相當於17級風以上。 氣象署表示,颱風樺加沙過去3小時...
...最大陣風每秒65公尺(約每小時234公里)、相當於17級風以上,至於七級風平均暴風半徑已達300公里...
...最大陣風每秒58公尺(約每小時209公里)、相當於17級風,目前七級風平均暴風半徑280公里、十級風...
...應該也來不及拆了」、「希望樓下沒有人」、「在16-17級風前…這種固定根本沒用」。 國家住都中心表...
【記者莊偉祺/台北報導】楊柳颱風今(13日)影響全台,台東地區已測得17級強大陣風,目前桃園機場已有8架因風切轉降至其他機場,南北觀景臺也關閉,就連空橋都綁橋暫停使用。繼華航、長榮已提早宣布停飛航班後,最新包含星宇也有10航班、國泰航空6航班取消或延後起飛了!
...、金門航班共18架次。 [**推薦新聞:楊柳颱風17級風強大!桃機8架次迫降他處 空橋已暫停使用*...
...的強陣風,宜梧測站甚至測得達每秒57.3公尺、相當17級風,造成廣泛農損。張麗善第一時間邀集立法委員...
...機皆符合Class T抗颱標準,可承受強颱最大風速17級風(57m/s)吹襲,目前台灣離岸風場所有的...
【黃詩淳/綜合報導】山陀兒颱風預計今(3日)中午前後登陸台灣,氣象粉專透露,雖然颱風縮水、強度減弱,但最強的核心還是相當完整,目前颱風眼牆在侵襲高雄市區、屏東沿海,高雄港二港口已經測得每秒56.3公尺17級強風,「已打破該測站歷史紀錄」。
...國海口五源河體育場舉辦試聽會,卻有當地網友發現,由於超強颱風摩羯刮17級風,場地的頂棚竟然被掀掉了。
...大陣風每秒68公尺(約每小時245公里),相當於 17級風以上。中央氣象署簡任技正伍婉華表示,這樣的...
【黃詩淳/綜合報導】山陀兒颱風逐漸逼近台灣,預計中午從高雄登陸,而高雄目前已出現狂風暴雨,位於新興區民生一路和復興路口的知名打卡景點「安全帽樹」,疑似不敵強風,遭連根拔起,砸中後方民宅。
...每秒55公尺,瞬間最大陣風每秒68公尺,是可以吹出17級風以上的等級。 該粉專說明,7級風時,人向...
【于知齊/綜合報導】中颱小犬來勢洶洶,挾帶強風豪雨,全台今日僅基北北桃4縣市沒放颱風假,昨(4日)夜間蘭嶼測得17級以上陣風是「20多年最強」,氣象局前局長鄭明典也公布蘭嶼的風力紀錄證實「陣風超過表格上限了」,民間氣象粉專「台灣颱風論壇|天氣特急」示警,可能還有更猛烈的風力出現!氣象署預估,小犬颱風今天上午在恆春半島登陸台灣,中午過後即出海。
...陣風達到每秒63公尺(約每小時227公里),相當於17級風以上,也讓多架國內外班機起降受到影響。 ...
...相當於16級風;瞬間最大陣風每秒65m/s,相當於17級風以上。而颱風風雨影響時程,今天白天北北基宜...
【施養正/綜合報導】強烈颱風康芮逐漸接近台灣,目前中心位於鵝鑾鼻的東南方約 440公里,各縣市首長再度面臨「颱風假政治學」考題。台南市長黃偉哲30日赴議會答詢時一度脫口「31日如果登陸就要放颱風假」,不過事後他進一步說,這次颱風很恐怖,預計在30日晚間9點前宣布是否停班停課。
...最大陣風每秒65公尺(約每小時234公里),相當於17級風以上。 氣象署表示,隨著強烈颱風康芮逐漸...