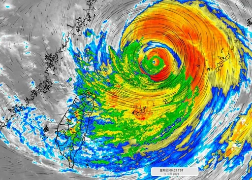
台北不在暴風圈「強風卻逼近放假標準」 他揭3原因巧合全撞上
...之所以沒在警戒區,卻仍然強風大作,原因有三: ⒈角隅效應: 颱風帶來的偏東風,遇上東北角的山區...
...之所以沒在警戒區,卻仍然強風大作,原因有三: ⒈角隅效應: 颱風帶來的偏東風,遇上東北角的山區...
...因颱風登陸後進入台灣海峽,其地形和氣流擠壓會出現「角隅效應」,故北部風力恐增強、特別是東北角,屆時需...
...發生的機率。南端(恆春半島)雖離暴風圈最遠,但因「角隅效應」(右圖)反而有最強偏西風,陣風達9至10...
...宜蘭等地雖然影響相對較小,但受到颱風外圍環流及地形角隅效應的影響,仍可能有一陣一陣的風雨出現,風雨的...
...努北端龜速滯留!南境恆春半島卻颳10級風 吳德榮:角隅效應 ](https://tw.nextapp...
...榮指出,輕颱卡努雖逐步遠離台灣,但南北兩端縣市因「角隅效應」仍有強陣風。氣象達人賈新興還指出,未來1...
...努北端龜速滯留!南境恆春半島卻颳10級風 吳德榮:角隅效應 ](https://tw.nextapp...
...部受影響小,氣溫偏高,有焚風發生,南北兩端縣市因「角隅效應」仍有強陣風。最新模式模擬顯示,8至11日...
...努北端龜速滯留!南境恆春半島卻颳10級風 吳德榮:角隅效應 ](https://tw.nextapp...
...努北端龜速滯留!南境恆春半島卻颳10級風 吳德榮:角隅效應 ](https://tw.nextapp...
...部受影響小、氣溫偏高,有焚風發生;南北兩端縣市因「角隅效應」仍有強陣風。今日各地區平地氣溫:北部25...