高雄1處「大規模崩塌紅色警戒」!3縣市淹水警戒 屏東滿州撤離
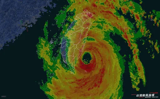
【陳靜文/綜合報導】受到低壓帶及西南風影響,中南部豪雨炸不停,台南、屏東、台東多區發布淹水警戒。交通部公路局考量山區土石鬆軟,易有落石發生,昨晚11時許預警性封閉台24線德文路口至神山路段,屏東縣滿州鄉分水嶺撤離中。此外,67條土石流潛勢溪流紅色警戒,分布在高雄市、屏東縣及嘉義縣,高雄市六龜區有1處列為大規模崩塌紅色警戒。
【陳靜文/綜合報導】受到低壓帶及西南風影響,中南部豪雨炸不停,台南、屏東、台東多區發布淹水警戒。交通部公路局考量山區土石鬆軟,易有落石發生,昨晚11時許預警性封閉台24線德文路口至神山路段,屏東縣滿州鄉分水嶺撤離中。此外,67條土石流潛勢溪流紅色警戒,分布在高雄市、屏東縣及嘉義縣,高雄市六龜區有1處列為大規模崩塌紅色警戒。
屏東滿州鄉山區今天凌晨查獲1起盜獵案。警方發現1輛自小貨車行跡可疑,當場查獲3男攜槍結夥打獵,捕獲共...
【記者莊曜聰/屏東報導】屏東一名19歲陳姓男子騎機車載著張姓友人出門,行經滿州鄉屏200線時,突然有兩隻台灣彌猴接連「暴衝」上路,陳男閃過第一隻,卻沒有閃過第二隻,連人帶車慘摔,送醫幸無大礙、但暫時「掰咖」,猴子則被撞飛當場死亡;影片PO上社群平台引發關注,有網友稱當地野生動物不少,類似案例三不五時就會發生。
...高度預估30公分至1公尺地區:東南沿海(台東成功~屏東滿州)、西南沿海(台南~屏東恆春)。預估30公...
【記者翁萊充/屏東報導】屏東縣滿州鄉公所一輛幸福巴士,今(5日)從九棚開往恆春,行經屏200線25公里處時,一隻野猴突然從樹叢竄出,駕駛被嚇到,不慎撞到護欄致車輛側翻,幸好車上僅有他一人,但巴士車體受損嚴重,鄉長古榮福表示會調度車輛,不影響鄉民權益。
...日下午1時50分一名從新竹來的遊客57歲張姓男子在屏東滿州鄉佳樂水漁村公園沙攤,並往港口溪疑下水撿石...
...似沒注意鳴笛聲,當場撞上倒地不起。 推薦新聞:[屏東滿州猴出沒!機車騎士猛撞慘摔掰咖 肇事者當場喪...
【記者莊曜聰/屏東報導】屏東恆春半島梅花鹿族群成長快速,除了造成當地農民困擾外,竟也成了盜獵集團眼中肥羊,近日有人在滿州鄉偏僻山坡的黑色塑膠袋中找到小公鹿屍首,頸部中槍死狀悽慘,疑似是盜獵人誤射,發現還沒長角不值錢才「打包棄屍」,居民指這種「殺鹿取角」的狀況已不是一天兩天,保七第八大隊今年1月才破獲盜獵集團,沒想到那麼快又捲土重來。
【記者凃建豐/屏東報導】屏東縣昨(5)日22時15分姜姓女子(94年次)駕駛自小客車沿屏200線滿州新庄路段往恆春方向行駛,因不明原因撞上在道路行走之曾姓男子(69年次),因當時下雨視線不良,發現時已閃避不及撞上曾男,造成曾男受重傷,經由消防人員送往恆春旅遊醫院救治,因傷勢嚴重於23時13分宣告急救無效死亡。
...61歲方姓男子疑因工資問題,遭施姓男工頭殺害並棄屍屏東滿州鄉,方男屍體昨晚間尋獲,1日上午檢警相驗,...
...果刀就猛刺,造成方男失血過多慘死施男再開車載屍南下屏東滿州棄置邊坡,並將死者身上金項鍊及值錢飾物取走...
【記者莊曜聰/高雄報導】高雄一名方姓男子小年夜(1/27)出門後就未返家,妹妹聯絡不上人向警方報案,同時在網路發文指出哥哥「戴著2兩重、價值逾20萬元的金項鍊」,擔憂他的安危,沒想到最後真的遭遇不測;警方查出方男被施姓工頭開車載走,雙方疑似因工資問題起爭執,竟被施男設局殺害,還棄屍在屏東縣滿州鄉,警方昨天下午逮到施男,再連夜找到屍體,後續將依殺人罪嫌送辦。
...協會表示,主要衝浪賽事從9月30日至10月2日,在屏東滿州佳樂水漁村公園,滿州鄉佳樂水因河口地形、浪...
...達320公里。 其他地區如嘉義東石、台北大屯山、屏東滿州等地也已觀測到超過14級的風力,顯示康芮威...
....7/14** **9、宜蘭頭城:43.9/14** **10、屏東滿州:41.7/14**
...發展,各種活動代言都接,也嘗試接廟會活動,她日前在屏東滿州鄉的廟會舞台上載歌載舞,又唱又搖,讓台下觀...
...、右手有條毛巾。 熱門新聞:[疑因下雨視線不佳!屏東滿州自小客撞上行人 傷重不治](https:/...
...爆乳女秘書長瀨昆妮,也從此消失在直播圈,近日她出現屏東滿州鄉的廟會活動舞台,穿著超低緊身短全載歌載舞...
公視史詩劇《斯卡羅》全劇近9成在屏東滿州、恆春、牡丹等地取景及拍攝,重現社寮、柴城、豬朥束、射麻裡及...
...5C91BD13BD814F0084D32) 在屏東滿州鄉200縣道冒雨持續搶修中,北南區處何孟穎...